フラッグ作りました、作れます
ユタ
プロペルでGO!!
こんにちは!
明日の予報は・・・|д゚)
・・・(*´ω`)
三浦は厳しそう!!(ノД`)・゜・。
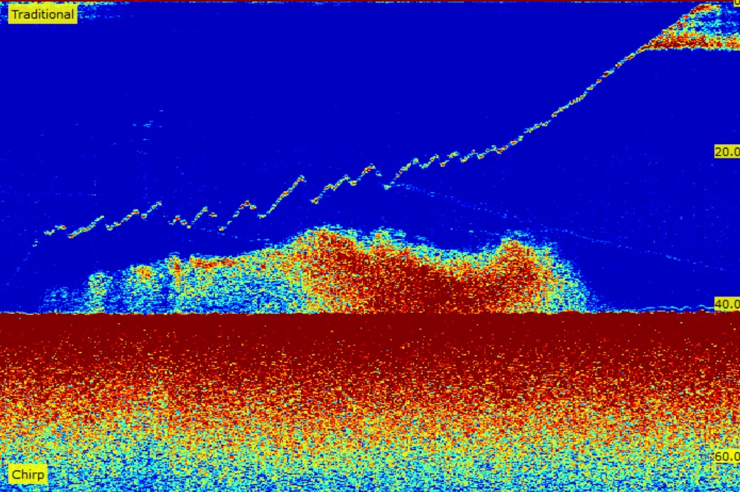
さて、先日真鯛が釣れた時の真鯛の反応を見たいといっていたので整理していました。

底から4~5mくらいで漂っていた真鯛が一目散に底に向かって移動しています(/・ω・)/
ジグを見つけたときの真鯛の反応ですが、ヒットしたのは30mを切ったところくらいでそこから暴れだしているのが見てわかりますよね( *´艸`)
そして必死に抵抗しています(´ω`*)

あと、やっぱり複数の真鯛が一緒にいたのか、いろいろな水深で底に帰っていっているのがわかります(´・ω・`)
まとめて釣れたらいいのにね(; ・`д・´)
そんなこんなで明日の釣り予定です(/・ω・)/
もともとは、コバさんとポリさんが館山に行くから「You来ちゃいなよ」と誘われていたので行こうと思ったのですがなんと爆風(*´Д`)
今日も爆風ですが、こんな日に出るもんじゃありませんね(ノД`)・゜・。
やはりコバさんは風を呼ぶ男か・・・( ゚Д゚)
そんな僕を差し置いて、コバさんとポリさんは、某沼のほうへ楽しそうにシーバス釣行に行っていました(´・ω・`)
僕は今日、お昼予定があったので断念(; ・`д・´)
なにって?

これです(/・ω・)/

土用の丑の日ならの土曜の牛の日です( *´艸`)
奥さんに確認したら鰻より焼き肉がいいと(; ・`д・´)
まぁ、こっちのがスタミナがつきそうな気もします( *´艸`)
というわけで、明日はいつもの三浦は風が強そう、、、唯一よさそうな西方面に遊びに行きますよ(/・ω・)/
前回とは違ったアプローチで中深海に挑戦したいと思います( *´艸`)
![]()
にほんブログ村
ポチってくれるとうれしいです♪